TOP-verkehrsgünstige Lage-NEUE Gewerbehalle 600qm + 244qm Vordach, 2 Rolltore, Hausbau noch möglich!
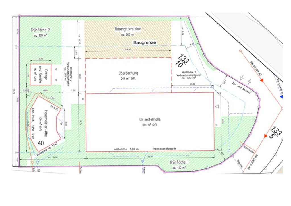
Dieses außergewöhnliche Gewerbeobjekt überzeugt mit einer beeindruckenden Grundstücksgröße von 2.555 m² welche vielseitige Nutzungsmöglichkeiten eröffnet. Die großzügige Fläche bietet ausreichend Platz für Lagerung, Logistik oder Produktion — ideal für Unternehmen, die viel Raum und flexible Strukturen benötigen.
Die 600 m² große Lagerhalle verfügt über zwei Sektionaltore sowie zwei Stahltüren.
Direkt an die 8m hohe Halle schließt ein 245 m² großes Vordach/Überdachung an, die weiteren geschützten Nutzraum bietet. Unter dieser Überdachung können zum Beispiel Bürocontainer flexibel aufgestellt werden, um zusätzliche Arbeits- oder Verwaltungsbereiche zu schaffen.
Ergänzt wird die Halle durch einen gepflasterten Außenbereich von ca. 585 m², der sich perfekt als Rangierfläche, Stellplatz oder Außenlager eignet. Zusätzlich steht eine separate Auffahrt zur Verfügung, die für eine komfortable und reibungslose Anlieferung sorgt.
Besonders hervorzuheben sind das bereits genehmigte „Hausmeisterwohnhaus“ sowie die genehmigte Garage.
Das Hausmeister- oder Inhaberwohnhaus ermöglicht eine direkte Betreuung der Anlage vor Ort, während die Garage idealen Platz für Fahrzeuge oder zusätzliche Lagerzwecke bietet.
Insgesamt präsentiert sich dieses Objekt als modernes, durchdachtes Gewerbeensemble mit vielseitigen Erweiterungsmöglichkeiten — eine perfekte Lösung für Unternehmen mit großen Plänen.
Die Bilder und Beschreibungen können Ihnen nur einen ersten Eindruck vermitteln. Machen Sie sich selbst ein Bild von diesem Angebot und vereinbaren Sie einen individuellen Besichtigungstermin!
Sie wollen solide finanzieren ?
WIR bieten den Rundum-Service.
Als freie Finanzierungsmakler sind wir bankenunabhängig, finden aus einem Pool von über 400 Banken und Kreditinstituten tagesaktuell die Top-Konditionen:
https://www.immobilienfinanzierung-keusch.de/onlinerechner.php
Alles kostenfrei & unverbindlich
#######################
Was ist Ihre Immobilie wert ?
Wir sagen es Ihnen – kostenfrei.
Kennen Sie den derzeitigen Verkehrswert Ihrer Immobilie? Veränderte Wohnbedürfnisse im Alter, beruflicher Ortswechsel, eine Immobilienerbschaft oder ein Neuanfang nach einer Scheidung – es gibt viele Gründe, eine Immobilie zu verkaufen. Am Anfang steht in allen Fällen die Ermittlung eines realistischen Verkaufspreises.
Wir freuen uns von Ihnen zu hören/ lesen.
Ihr verantwortlicher Ansprechpartner in unserem Hause ist Markus Keusch.
Sie erreichen ihn gerne unter 04202 50 61 550.
Bitte geben Sie uns bei Ihrer Kontaktaufnahme Ihre Rufnummer sowie E-Mailadresse an.
| Objekt ID: | 2025-340 |
| Verfügbar ab: | frei |
| Kaufpreis: | 1.195.000,00 EUR |
| Provision für Käufer: | 3,57% |
| Lage: | Uphusen bei Bremen |
| Grundstücksfläche: | 2.550,00m² |
| Gesamtfläche: | 845,00m² |
| Etage: | EG |
| Baujahr: | 2025 |
| Objektzustand: | Erstbezug |
| Lagerfläche: | 845 m² |
| Teilbar ab: | 300 m² |
| Energieausweis-Jahrgang: | ab Mai 2014 |
| Energieausweis-Gebäudeart: | Nichtwohngebäude |
| Distanz zum Flughafen: | 11,7 km |
| Distanz zum Fernbahnhof: | 1,2 km |
| Distanz zur Autobahn: | 0,3 km |
| Distanz zu Bushaltestelle: | 0,4 km |
| Distanz zum Kindergarten: | 0,9 km |
| Distanz zur Grundschule: | 0,7 km |
| Distanz zur Realschule: | 5,9 km |
| Distanz zum Gymnasium: | 5,7 km |
| Distanz zum Zentrum: | 11,3 km |
| Distanz zu Einkaufsmöglichkeiten: | 1,6 km |
| Distanz zu Gaststätten: | 0,7 km |
| Befeuerungsart: | Gas |
| Baujahr lt. Energieausweis: | 2025 |
| Energieeffizienzklasse: | E |
| Wert des Endenergiebedarfs: | 165,10 kWh/(m²*a) |
| Endenergiebedarf (Heizung): | 145,00 kWh/(m²*a) |
| Endenergiebedarf (Strom): | 3,10 kWh/(m²*a) |
| Art des Energieausweises: | Bedarf |
| Gültigkeit des Energieausweises: | 23.01.2035 |
Das Objekt befindet sich in hervorragender Lage direkt am Bremer Kreuz, einem der wichtigsten Verkehrsknotenpunkte Norddeutschlands. Durch die unmittelbare Anbindung an die A1 und A27 ist eine schnelle Erreichbarkeit in alle Richtungen gewährleistet — ideal für Logistik, Produktion oder überregionale Geschäftstätigkeiten.
Alles Wissenswerte über Achim finden Sie hier:
https://de.wikipedia.org/wiki/Achim_(Landkreis_Verden)
https://www.achim.de/
Diese exklusive & gedämmte Halle mit TOP Lage bietet Ihnen:
– Verkehrgünstige Lage direkt am Bremer Kreuz
– 2.550 m²
– 600 m² gedämmte Halle
– 245 m² Vordach
– 2 Sektionaltore
Dach:
•Stahltrapezprofilbleche
•Obenliegende Dämmung mit Folienabdichtung
•Entwässerung über Attikaeinläufe, Dachgullys, Wasserfangkästen und außenliegende Fallrohre
Stahlkonstruktion:
•Zweigelenkrahmen
•Aufständerung und Abfangträger aus Walzprofilen (S235), gemäß Statik
Sohle:
•Stahlbetonsohle in der Halle
•Verbundsteinpflaster unter dem Schirm
Gründung:
•Stahlbeton-Streifenfundamentbalken und Einzelfundamente (C20/25, BSt500S+M)
•Sockel aus bewehrten Schalungssteinen
•Gründung auf Pfählen
Fassade:
•Horizontal verlegte Thermo-Wandpaneele
•Alufenster zur Belichtung und Lüftung
•Dachlichtband (Rauch- und Wärmeabzug)
•Sektionaltore und Stahltüren
Außenbereich:
•Großes Vordach
•Rasengittersteine
•Gepflasterte Hofflächen
Zusätzlich:
•Genehmigtes Hausmeister- oder Inhaberwohnhaus
•Genehmigte Garage
Vereinbaren Sie jetzt Ihren persönlichen Besichtigungstermin.































